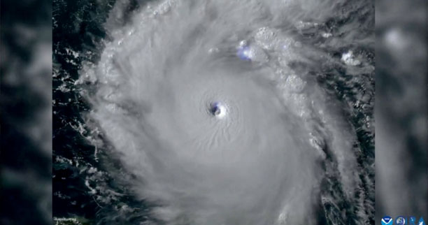
El presidente Andrés Manuel López Obrador recomendó la mañana de este martes a la población de que estén pendientes sobre la dirección del huracán Beryl, que ya aumentó a categoría cinco.
El presidente Andrés Manuel López Obrador recomendó la mañana de este martes a la población de que estén pendientes sobre la dirección del huracán Beryl, que ya aumentó a categoría cinco.
“Está todavía lejos de las costas de México, del Caribe, de Quintana Roo. Al principio se pensaba que podía entrar a tierra por Cancún, ahora se está valorando que de entrar podría ser en el sur de Quintana Roo, Chetumal y tenemos que cuidar Chetumal, que es frágil ante este tipo de fenómenos, toda esa zona que es baja. Ahí está ya concentrándose el equipo completo”, comentó AMLO en su conferencia mañanera.
El primer mandatario enfatizó la importancia de preservar la calma y evitar el pánico, y aseguró que el gobierno mantendrá a la ciudadanía informada con datos precisos y actualizados para contrarrestar el sensacionalismo que suele surgir en estas situaciones.
Además, detalló que se espera que el huracán podría llegar a las costas mexicanas entre la noche del jueves y la madrugada del viernes. Mientras tanto, se está trabajando en todos los preparativos necesarios para proteger a la población, incluyendo la disposición de camiones y la identificación de áreas seguras en zonas altas.
“Que desde ahora se piense que lo material siempre se recupera, siempre se recupera. Lo más importante son las vidas. Entonces, si se da el aviso de evacuar, (decirle a la población) que va a ser ordenado, que vamos a tener camiones, que vamos a tener todo lo que se requiere y vamos a buscar las partes altas… Y salvar vidas, eso es lo más importante, lo otro se resuelve. No van a quedar desamparados, nunca van a quedar desamparados”, comentó el jefe del Ejecutivo.
Por su parte, el Servicio Meteorológico Nacional de Estados Unidos informó, este 2 de julio, que el huracán Beryl ha batido muchos récords, pues se trata del fenómeno natural de categoría 5 más temprano en formarse.
